I vestiti di Frida, | fuori dal Messico
Per la gioia degli amanti del Frida Kahlo style, ecco lo sbarco in Europa del privatissimo guardaroba dell'artista. Al V&A Museum di Londra, la prossima estate
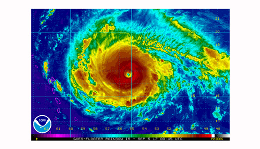
Attenzione, arriva Irma!
Musei chiusi e opere permanenti disinstallate nella Florida che si preprara all'arrivo del nuovo uragano, a pochi giorni dalla tormenta di Harvey
Gerhard Richter per il Reichstag
La serie non è delle più allegre, visto che i dipinti sono nati osservando fotografie documentali del campo di sterminio nazista di Birkenau.
Ma se...
La schiavitù va in scena
Dietro il nostro titolo ambiguo si nasconde la nascita di un nuovo museo in Alabama, uno degli stati dell'America del Nord dove è stato...
Musei per il nuovo anno |
Da Città del Capo a Parigi, passando per Miami, la frenetica corsa per il "nuovo museo” o il restauro del vecchio, per renderlo più...
L’arcobaleno LGBT in arte, | a Taiwan
"Spectrosynthesis: Asian LGTB issues and Art Now” è il titolo della prima mostra dedicata alla comunità LGTB asiatica al Taipei Museum of Contemporary Art...
Un milione contro Harvey
Un milione di dollari: è questa la cifra che il National Endowment for the Humanities americano ha stanziato per far fronte ai danni causati...
Il Lofoten International Art Festival
All’interno del Circolo polare artico, l’ultima edizione del Festival internazionale d’arte delle Lofoten si svilupperà nel villaggio di pescatori di Henningsvær e sarà dedicato all’ambiente, in particolare agli oceani in quanto ecosistema da proteggere
Percorsi tribali nel fine estate a Parigi
Per la sedicesima edizione dei Parcours des Mondes, l’evento d’arte etnica più importante d’Europa, si annuncia grande movimento nel quartiere di Saint-Germain-des-Prés, dove, secondo...








.jpg)



