Create an account
Welcome! Register for an account
La password verrà inviata via email.
Recupero della password
Recupera la tua password
La password verrà inviata via email.
-
- container colonna1
- Categorie
- #iorestoacasa
- Agenda
- Archeologia
- Architettura
- Arte antica
- Arte contemporanea
- Arte moderna
- Arti performative
- Attualità
- Bandi e concorsi
- Beni culturali
- Cinema
- Contest
- Danza
- Design
- Diritto
- Eventi
- Fiere e manifestazioni
- Film e serie tv
- Formazione
- Fotografia
- Libri ed editoria
- Mercato
- MIC Ministero della Cultura
- Moda
- Musei
- Musica
- Opening
- Personaggi
- Politica e opinioni
- Street Art
- Teatro
- Viaggi
- Categorie
- container colonna2
- Servizi
- Sezioni
- container colonna1
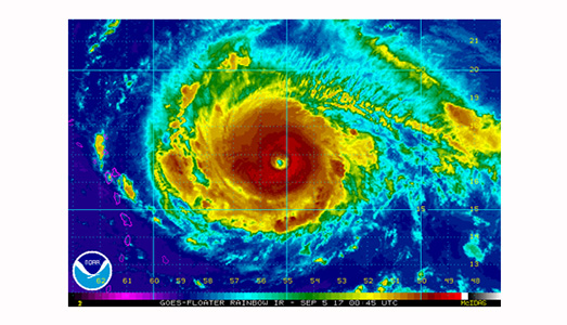
Nemmeno una settimana di tregua da Harvey, che ha sferzato la costa del Golfo del Messico negli Stati Uniti, che in queste ore ha preso corpo un nuovo mostro. Si chiama Irma, ne hanno fotografato anche “l’occhio” e ora fa paura alla Florida e, in particolare a Miami, che tra meno di novanta giorni ospiterà la nuova edizione di Art Basel.
Irma, che attualmente viaggia nell’Atlantico ad altezza delle Bahamas e delle Isole Vergini, nelle scorse ore fatte evacuare, si abbatterà sulla capitale morale della penisola americana questo week end, e già i musei si sono messi in guardia.
Il Pérez Museum, splendido edificio firmato da Herzog & De Meuron che sorge proprio a pochi metri dalle rive della baia, resterà chiuso da oggi, 7 settembre, a domenica. Già chiusa, invece, la Margulies Collection a Wynwood, per non parlare del Museo de Arte di Puerto Rico, alla periferia di San Juan, che ha preso anche precauzioni per proteggere l’edificio e la sua collezione. Qui i dipinti sono stati sigillati in gallerie protette e le opere d’arte che potrebbero essere in pericolo sono state trasferite in spazi più sicuri. Idem con patate anche le attività del Design District di Miami, altra zona a rischio inondazioni. Qui ha chiuso l’ICA e, ancora sulla “Beach”, il Bass Museum of Art ha deciso di disinstallare la scritta luminosa “Eternity Now” di Sylvie Fleury, in permanenza qui dal 2015. «Prendiamo molto sul serio il tempo estremo. La nostra priorità numero uno è garantire che il nostro personale e la comunità siano pronti per questo evento e speriamo che tutti rimangano al sicuro durante e dopo la tempesta», ha riportato in un comunicato la direttrice Silvia Karman Cubiñá. Si salvi chi può, arte compresa. (MB)
Fonte: Artnews.com





_523x300.jpg)










